Evaluation saved!
Only you will see it
Comment saved!
Add your evaluation and/or a comment for this ad. You will only see your
498.000 € Advise me if it drops
it has dropped 51.000 €

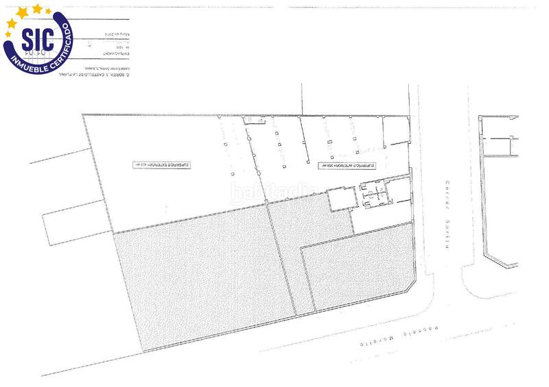
Business premise in paseo morella 23 in Estación - Universidad Castellón de la Plana

  • 1.140 m2
  • 437 €/m2

Gran Local Comercial en Castellón 1.140 m con Patio y Ubicación Estratégica Corte Inglés, Renfe, Uji

Descubre este impresionante local comercial de 1.140 m² dividido en dos espacios independientes, ubicado en una zona de alto tránsito junto al Corte Inglés, la estación de tren y la Universidad Jaume I (UJI). Una oportunidad única para empresarios e inversores que buscan visibilidad, accesibilidad y versatilidad.

?? Oficina bancaria equipada, con cristales de seguridad
?? Taller con acceso a amplio patio exterior de 441 m²
?? Posibilidad de adaptar el espacio para parking público u otros usos comerciales (previa autorización)
?? Zona con gran afluencia de clientes potenciales y múltiples servicios

Gracias a su excelente conexión y entorno comercial consolidado, este local ofrece todo lo necesario para destacar frente a la competencia y crecer con solidez.

?? Perfecto para bancos, talleres, clínicas, supermercados, coworkings o negocios innovadores que requieran espacio y ubicación premium.

?? ¡No dejes pasar esta oportunidad! Ven a visitarlo y visualiza el futuro de tu negocio aquí.

Este inmueble es en exclusiva, con lo que le facilitamos cualquier información sobre la vivienda. Por este motivo, solicitamos no molesten al propietario, ocupantes de la propiedad, vecinos o conserje de la comunidad.
En todos los casos los precios expuestos son más impuestos y gastos derivados de la transmisión del inmueble.



last modified

Space distribution

  • Floor area 1140 m2

General features

  • Year built 1967
  • Energy Certificate :
    Exempt
Ad : 20079003524871

Location

Estación - Universidad Paseo MORELLA 23

Click on the map to navigate around it
Would you like us to notify you when we get ads like this one? Create your alert and we will notify you by email when a new ad appears or an existing ad has changed.
 

Contact MODESTO BELTRAN

Ad reference habitaclia/05653PAR:

You will see the telephone number after sending your contact to the announcer to attend you.
You will see the phone number after you contact
Sending...