Evaluation saved!
Only you will see it
Comment saved!
Add your evaluation and/or a comment for this ad. You will only see your

Residential plot in Casco Urbano Moraira

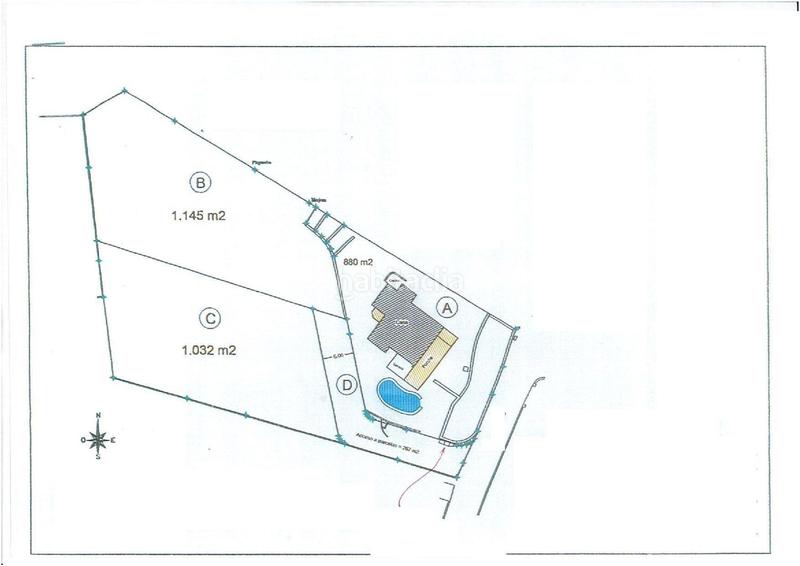
  • 2.177 m2
  • 367 €/m2

Descubra una de las últimas parcelas disponibles en la prestigiosa zona de El Portet en Moraira. Este exclusivo terreno ofrece una privacidad inigualable y un entorno verde y exuberante, proporcionando un refugio sereno a tan solo un corto paseo de la playa y del encantador centro de Moraira.

Esta propiedad versátil puede configurarse como una gran parcela de 2.177 m² o dividirse en dos parcelas separadas de 1.145 m² y 1.032 m², adaptándose a sus necesidades y visión específicas. Imagine construir su villa de ensueño aquí, con impresionantes vistas al mar que capturan e inspiran. La parcela cuenta con una excelente orientación solar, asegurando que su hogar esté bañado en luz natural durante todo el día.

Esta es una oportunidad única para construir una residencia a medida en una ubicación muy solicitada, combinando el lujo con la belleza de la naturaleza. No pierda la oportunidad de poseer un pedazo de paraíso en El Portet.









last modified

Space distribution

  • Floor area 2177 m2
Ad : 42236000002551

Location

Casco Urbano

Click on the map to navigate around it
Would you like us to notify you when we get ads like this one? Create your alert and we will notify you by email when a new ad appears or an existing ad has changed.
 

Contact Plusvillas

Ad reference habitaclia/P26078*:

You will see the telephone number after sending your contact to the announcer to attend you.
You will see the phone number after you contact
Sending...