Evaluation saved!
Only you will see it
Comment saved!
Add your evaluation and/or a comment for this ad. You will only see your
495.000 € Advise me if it drops
it has dropped 254.000 €

Residential plot in Casas Verdes Paterna

  • 1.083 m2
  • 457 €/m2

TERRENO EN VENTA EN CRUZ DE GRACIA, GODELLA

Exclusiva parcela en una de las mejores urbanizaciones privadas de Valencia

Situada en la prestigiosa urbanización Cruz de Gracia, esta parcela de 1.083 m² se distingue por su inmejorable ubicación. La urbanización, reconocida por su seguridad y privacidad, cuenta con vigilancia 24 horas, controles de acceso y patrullas móviles, lo que garantiza la tranquilidad de sus residentes.

Una oportunidad única para crear tu hogar ideal
Esta amplia parcela combina privacidad, espacio y comodidad, convirtiéndola en el lugar perfecto para construir una vivienda a medida en un entorno privilegiado. Ubicada estratégicamente cerca de la entrada principal, ofrece comodidad y fácil acceso dentro del recinto.

Un entorno inigualable a pocos minutos de Valencia, Cruz de Gracia se encuentra en el término municipal de Paterna, a solo 10 minutos del centro de Valencia, con excelente conexión a la CV-35 y la A-7. Rodeada de servicios premium como colegios internacionales, supermercados y un exclusivo club social, también está a escasos metros del complejo Herón City, un referente en ocio y restauración.

El precio incluye la acción obligatoria como copropietario de la urbanización, permitiéndote disfrutar de todas las zonas comunes. Además, la zona tiene una gran proyección gracias a la futura ampliación de la línea 2 del Metro, cuya parada estará en la entrada de la urbanización, lo que aumentará el valor del terreno y tu futura propiedad.

La parcela dispone de agua, luz y servicios urbanísticos completos, incluyendo aceras, alumbrado público y alcantarillado. Incluso contamos con planos previos para una casa unifamiliar espectacular o podemos ayudarte a diseñar un proyecto único adaptado a tus necesidades.

No pierdas la oportunidad de invertir en un lugar que combina lujo, comodidad y excelente proyección de valor. ¡Contáctanos para más información y descubre el hogar que mereces!
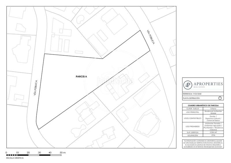
Ref. VV2412040

last modified

Space distribution

  • Floor area 1083 m2
Ad : 4737003823391

Location

Casas Verdes

Click on the map to navigate around it
Would you like us to notify you when we get ads like this one? Create your alert and we will notify you by email when a new ad appears or an existing ad has changed.
 

Contact APROPERTIES REAL ESTATE - VALENCIA

Ad reference habitaclia/VV2412040:

You will see the telephone number after sending your contact to the announcer to attend you.
You will see the phone number after you contact
Sending...