Evaluation saved!
Only you will see it
Comment saved!
Add your evaluation and/or a comment for this ad. You will only see your
331.000 € Advise me if it drops
it has dropped 37.000 €

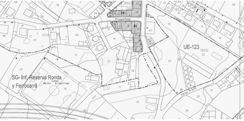
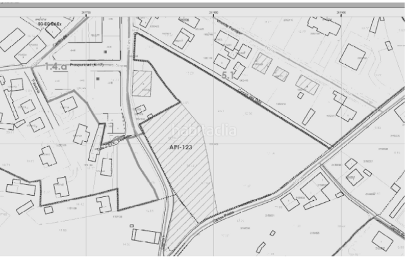
Residential plot in Jove Gijón

  • 11.225 m2
  • 29 €/m2

NO COBRAMOS COMISIÓN DE INTERMEDIACIÓN AL COMPRADOR

Excelente oportunidad de adquirir en propiedad este suelo ( no consolidado) ubicado en la localidad de Gijón, provincia de Asturias. Con los siguientes datos:

- Referencia catastral: 1951009TP8215S0001LU.
- Promoción inmobiliaria más probable: Se estima la construcción de 9 viviendas de 205 m2 aprox. con parcelas de 1.138 m2.
- Superficie catastral: 11.225 m2
- Superficie de suelo adoptada: 10.245 m2 resultado de descontar la zona medida sobre plano que no es edificable 990 m2 y queda una superficie de 10.245 m2.
- Edificabilidad: 2.045 m2 de residencial unifamiliar.
- Descontando Cesión del 10%: 2.045 x 0,90 = 1.840,50m2
- Se establece como hipótesis el desarrollo de un edificio en manzana cerrada de tres alturas sobre rasante, con planta baja de uso comercial y 2 plantas en altura de viviendas para 24 unidades y una planta bajo rasante para 36 plazas de aparcamiento.

Situado en la zona Oeste de la población, se trata de zona residencial totalmente consolidada con todos los servicios( instalaciones y centros deportivos, centros educativos, comercios, etc.) y a un paso de la playa del Arbeyal y del Puerto. El centro de Gijón queda a tan sólo 3,5 km, por lo tanto su ubicación es privilegiada.

Por lo tanto la promoción a desarrollar disfrutará de un entorno tranquilo, pero sin renunciar a todos los servicios, equipamientos y atractivos necesarios para una gran calidad de vida. Sus accesos, comunicaciones y transportes harán que tengas todo a tu alcance.

No lo dudes, invertir en el suelo que te ofrecemos será una apuesta segura.

Hipoges es una plataforma inmobiliaria donde podrás acceder a miles de activos inmobiliarios de diferentes tipos como viviendas, locales comerciales, terrenos, nueva obra... tanto a nivel particular como para inversores. Hipoges cuenta con una amplia cartera de activos inmuebles tanto en España como en Portugal y Grecia.




¿Necesitas financiación? Te ofrecemos la posibilidad de financiaciones de hasta el 100% para la compra de este inmueble. Entra en Finanwin.com, haz tu simulación y obtén la mejor oferta para tu Hipoteca de la manera más ágil y sencilla.

last modified

Space distribution

  • Floor area 11225 m2
Ad : 52792000005404

Location

Jove CARLOS PRIETO

Click on the map to navigate around it
Would you like us to notify you when we get ads like this one? Create your alert and we will notify you by email when a new ad appears or an existing ad has changed.
 

Contact Hipoges

Ad reference habitaclia/SBRE-0180380:

You will see the telephone number after sending your contact to the announcer to attend you.
You will see the phone number after you contact
Sending...