Favorito y comentario
Residential plot in calle rocío jurado 18 in Torrijos
Main characteristics
- 441 m2
- 147 €/m2
Detailed information
Venta de parcelas en Torrijos
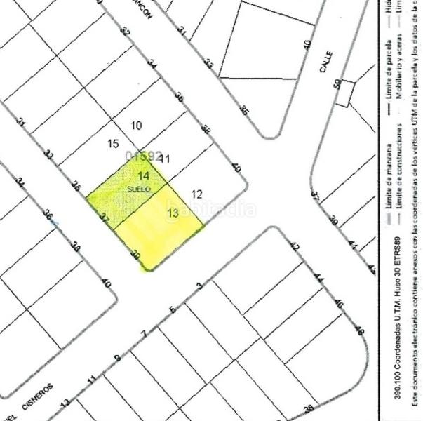
Se venden parcelas en Torrijos. Zona Las Colonias. (Sector 4-A)
Torrijos es un municipio y localidad española de la provincia de Toledo, en la comunidad autónoma de Castilla-La Mancha. La población del término municipal, que cuenta con una superficie muy reducida, asciende a 13 583 habitantes.
Es la localidad más importante de una zona conocida con el nombre de comarca de Torrijos. Limita al este con el término de Barcience, al norte con Novés, al oeste con los de Alcabón y Santo Domingo-Caudilla y al sur con el término de Gerindote.
Torrijos cuenta con: ayuntamiento, colegios, institutos, polideportivos, piscina municipal, gimnasios, parques infantiles, casa rural, atención médica (Seguridad Social), farmacia 24 horas, restaurantes, comercios, servicios de transporte.
Parcela 37, 189m2 - 28.000€ Parcela 39, 259m2 - 37.000€
Las parcelas se vende juntas o por separadas; con un total de 441m2.
Dispone de luz, agua, alcantarillado, aceras y alumbrado público.
No tiene retranqueo de fachada.
¡NO DEJES PASAR ESTA OPORTUNIDAD!
Llámanos y concierta tu visita.
Somos una inmobiliaria con más de 30 años de experiencia.
last modified
Space distribution
- Floor area 441 m2
one
Location
Calle Rocío Jurado 18