Evaluation saved!
Only you will see it
Comment saved!
Add your evaluation and/or a comment for this ad. You will only see your
236.000 € Advise me if it drops
it has dropped 4.000 €

Rural plot in Alcantarilla

MAESTRO JOSE LOPEZ RUIZ

  • 6.822 m2
  • 35 €/m2

Solvia Inmobiliaria Solares Alcantarilla

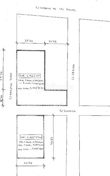
Solar Residencial en Alcantarilla, Región de Murcia, de tipología Plurifamiliar con una superficie de 3.131 m², con edificabilidad estimada de 3.945,48 m² y un número estimado de 52 unidades a edificar. El de propiedad que se posee en las fincas registrales es del 100. División horizontal no materializada. Se trata de dos solares, sitos en la calle Maestro José López Ruiz, números 11 (1.902m2) y 13 (1.229m2), con 2 edificios proyectados en construcción de 26 viviendas y 5 plazas de garaje y 21 viviendas, respectivamente, aunque con las obras sin iniciar. En total constan 52 fincas registrales "en construcción", 47 corresponden a viviendas y 5 a plazas de garaje.

last modified

Space distribution

  • Floor area 6822 m2
Ad : 41124000085679

Location

MAESTRO JOSE LOPEZ RUIZ

Click on the map to navigate around it
Would you like us to notify you when we get ads like this one? Create your alert and we will notify you by email when a new ad appears or an existing ad has changed.
 

Contact Solvia Inmobiliaria

Ad reference habitaclia/CS-13565-0036:

You will see the telephone number after sending your contact to the announcer to attend you.
You will see the phone number after you contact
Sending...