Virtual visit
Evaluation saved!
Only you will see it
Comment saved!
Add your evaluation and/or a comment for this ad. You will only see your

Rent business premise in Can Llong Sabadell

  • 98 m2
  • 6,12 €/m2

ALQUILER LOCAL COMERCIAL EN CAN LLONG!!

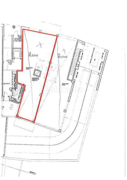
Solespai presenta 2 Locales comerciales de origen en alquiler , situado en la planta baja de un edificio residencial en la zona de Can Llong (Sabadell).

Una de las mejores zonas de Sabadell, próximo a las zonas más comerciales y transitadas de la zona, a su alrededor podemos encontrar todos los servicios necesarios, (transporte público, centro médico, supermercados, farmacias, restaurantes, zonas verdes...)

Cada local consta de una sola planta, disponen de 97m2 construidos (Verificación Dirección General de Catastro).
Uno de los locales tiene una fachada de 6,5m y el otro tiene 4,5m de fachada

Construcción del año 2004.

Se alquilan individualmente, con 4 meses de carencia.






Para más información no dudes en contactar con nosotros te informaremos sin ningún compromiso.

SOLESPAI le ofrece asesoramiento gratuito y sin compromiso en las gestiones para la obtención de la Hipoteca.

Tramitamos Cédulas de habitabilidad y CEE (Certificados energéticos).

Realizamos ITE edificios (Inspección técnicas edificios para la obtención del certificado a Aptitud de la Generalitat de Catalunya).

last modified

Space distribution

  • Floor area 98 m2

General features

  • Year built 2004
  • Energy Certificate :
    Consumo:
    G
    999 kW h m2 / año
    Emisiones:
    G
    999 kg CO2 m2 / año
Ad : 23628003797929

Location

Can Llong

Click on the map to navigate around it
Would you like us to notify you when we get ads like this one? Create your alert and we will notify you by email when a new ad appears or an existing ad has changed.
 

Contact SOLESPAI

Ad reference habitaclia/01627:

You will see the telephone number after sending your contact to the announcer to attend you.
You will see the phone number after you contact
Sending...